온라인예약 수술전상담 찾아오는길 페이스북
닫기
닫기
닫기
닫기
닫기
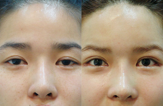
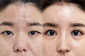
Frontal Epicanthoplasty/ Lateral Epicanthoplasty
Frontal Epicanthoplasty removes the skin drooped down in epicanthal region of eyes, also known as Mongolian fold. Lateral epicanthoplasty extends the tails of eyes, creating clear and vivid looking eyes.
  • anesthesia method : local anesthesia after sedative anesthesia
  • operation time : about 30 minutes
  • suture removal : after 3-7days,revisit us twice more
  • recovery process : back to daily life after 5-7 days
Frontal/Lateral Epicanthoplasty Surgical Procedure
Frontal/Lateral Epicanthoplasty Candidates
Cautions and Recovery
Recently, many people have commonly taken this recently developed scar-free Epicanthoplasty together with Double Eyelid Surgery.
Scars usually disappear within three months after the surgery
Your newly extended eyes will mostly stay the same if you take the surgery at KS. ( 3-4mm will be lengthened)
Before and After

BEFORE

AFTER