온라인예약 수술전상담 찾아오는길 페이스북
닫기
닫기
닫기
닫기
닫기
What is Revision Eye Surgery?
There are various reasons for undergoing Revisional Eye Surgery. It seems wrong that so many people want to take a double eyelid surgery again, which is one of the simplest surgery. However, unexpected, unsuccessful results of the prior surgery can be corrected with the Rivisional Eye Surgery and you will be highly satisfied.
  • anesthesia method : local anesthesia
  • operation time : depends
  • suture removal : after 2-7 days, revisit us twice more
  • recovery process : back to daily life after 2-7 days
Revisional Eye Surgery Candidates
Revisional Eye Surgery Candidates
1. Plenty of reasons for the Revision Eye Surgery
2. Depending on the reason, different surgical procedure will be applied
3. Previewing such characteristics before the surgery will help you understand better during the consultation with specialized doctors
Cautions and Recovery
Revisional Eye Surgery incises the first incision line, remove all the scars inside the skin, make desired double eyelid line and suture. Don’t worry about scars because our board-certified surgeons are very skillful. Yet, we recommend you to wait at least six months before you decide to undergo Revisional Eye Surgery because eyes are not fully established within six months due to scars and swellings.
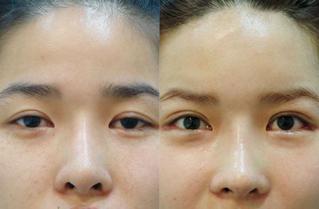
Before and After

BEFORE

AFTER