온라인예약 수술전상담 찾아오는길 페이스북
닫기
닫기
닫기
닫기
닫기
What is Eye shape correction?
Unlike the past, we apply different surgical procedures depending on patient’s different eye shape as they expect to have an eyelid that looks best on each of them. According to this recent trend, we have been operating several Correction surgeries at the same time.
  • anesthesia method : local anesthesia after sedative anesthesia
  • operation time : about 1 hour
  • suture removal : after 3-7days,revisit us twice more
  • recovery process : back to daily life after 5-7 days
Complex Ptosis Correction Surgical Procedure
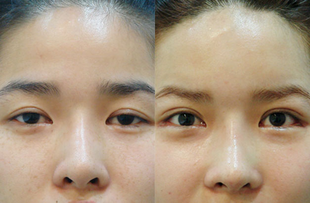
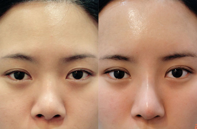
Complex Ptosis Candidates
1. Weak elevating muscle of upper eyelid
2. Tired looking eyes due to think eyelid (1-2mm)
3. Had Double Eyelid Surgery without Ptosis Correction, though it was necessary
4. Desire to make defined and gentle eyes
Before and After

BEFORE

AFTER