온라인예약 수술전상담 찾아오는길 페이스북
닫기
닫기
닫기
닫기
닫기
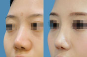
Mis-nose (Minimal Invasive scaffolder)
This surgery uses latest surgical technique that is differentiated from other techniques, and it uses insertion inside the scaffold of a nose. By inserting scaffold inside the nose, the surgery will adjust the nose’s angel, bridge, tip, and wing, and it also prolongs the length of the nose for a very long time.
  • Anesthesia method : sedation
  • Operation time : 30 minutes - 1 hour
  • Suture removal : None
  • Recovery process : daily activities possible after 3-4 days
mis-nose surgery
This surgery uses latest surgical technique that is differentiated from other techniques, and it uses insertion inside the scaffold of a nose. By inserting scaffold inside the nose, the surgery will adjust the nose’s angel, bridge, tip, and wing, and it also prolongs the length of the nose for a very long time.
As a latest nasal surgery, it brings out patented surgical technique and state-of-the-art tools, which will save time as well as reduce the amount of money and pain. It is a simple nasal procedure and the fast recovery comes without any scars. Surgical incision, unlike the general procedure of Rhinoplasty (suture) and the tool (similar to a syringe) using a simple procedure you can get. It leaves no scar, and patients can able to move their nose freely after a short period of healing process. The materials used in this surgery is suture that is used for more than three decades, and there is almost no side effects that comes afterward. The mis-nose surgery can make a beautiful nose by applying the technique onto nose tip, nose bridge, nose wing and other parts as well. The technique that deemed impossible in previous procedure or other petit treatment is possible in our clinic.
Before and After

BEFORE

AFTER